22/12/2025 05:25:19

Mundo
27/08/2020 16:00:00

Furacão Laura: tempestade chega aos EUA com ameaça de 'ressacas catastróficas, ventos extremos e inundações'

Furacão Laura: tempestade chega aos EUA com ameaça de 'ressacas catastróficas, ventos extremos e inundações'

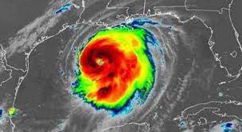
O furacão Laura, que alcançou a categoria 4 (o Katrina, que causou grande destruição em 2005, alcançou categoria 3 em terra firme e 5 no Oceano Atlântico) na escala Saffir-Simpson na quarta-feira, atingiu a costa sudeste dos Estados Unidos na manhã desta quinta-feira (27/08), em meio a alertas de "tempestade catastrófica, ventos extremos e inundações".

O Centro Nacional de Furacões dos EUA (NHC, na sigla em inglês) informou que o olho do furacão tocou o continente no distrito de Cameron, no Estado da Louisiana, à 1h da manhã (hora local), e pediu à população que se protegesse.

Laura viaja a uma velocidade de 24 km/h, com ventos de até 240 km/h. Estima-se que pode ser um dos furacões mais poderosos a atingir a região.

"O olho de Laura está projetado para atravessar o noroeste da Louisiana durante esta quinta-feira e o Arkansas à noite, e viajar através do Vale do Mississippi na sexta-feira", informou o NHC.

Mais de 385 mil pessoas receberam ordem de evacuação nas cidades de Beaumont, Galveston e Port Arthur, no Texas; e outras 200 mil em Calcasieu Parish, no sudoeste da Louisiana.

Laura
Ver as imagens
 
Moradores se preparam para chegada de Laura

Indústria de petróleo

Port Arthur abriga a maior refinaria de petróleo dos Estados Unidos.

Além disso, trabalhadores de pelo menos 281 plataformas de petróleo no Golfo do México foram evacuados.

O NHC alertou para subida do nível do mar e a entrada de água na terra em particular ao longo da costa onde Laura tocar o continente; e que também se produzirão "ondas grandes e destrutivas", segundo diz a agência de notícias EFE.

No início da semana, o presidente dos Estados Unidos, Donald Trump, emitiu uma declaração de emergência para o Texas e a Louisiana. Neste último Estado, a tempestade tropical Marco atingiu o continente no início da semana sem causar grandes danos.

cuba
Ver as imagens
 
Laura atingiu Cuba, mas ninguém morreu

A passagem de Laura como tempestade tropical pela República Dominicana e pelo Haiti no último fim de semana deixou pelo menos 13 mortos, além de inundações e inúmeros danos.

Em Cuba, a tempestade cruzou rapidamente o leste da província de Pinar del Río, a oeste de Artemisa e Havana, onde foram registrados danos, mas nenhuma morte.

Yahoo Notícias